கொழும்பு - பொரளை பகுதியில் போராட்டத்தால் பதற்ற நிலை: பொலிஸார் குவிப்பு

கொழும்பு - பொரளை பகுதியில் போராட்டத்தால் பதற்ற நிலை: பொலிஸார் குவிப்பு

இலங்கையில் பெருமளவில் அதிகரிக்கப்பட்டுள்ள மின் கட்டணம் - செய்திகளின் தொகுப்பு

இலங்கையில் பெருமளவில் அதிகரிக்கப்பட்டுள்ள மின் கட்டணம் - செய்திகளின் தொகுப்பு

சுற்றுலா விடுதியொன்றில் பொலிஸாரிடம் சிக்கிய இளம் ஜோடிகள்: வத்தளையில் சம்பவம்

சுற்றுலா விடுதியொன்றில் பொலிஸாரிடம் சிக்கிய இளம் ஜோடிகள்: வத்தளையில் சம்பவம்

60 வயதுக்கு மேற்பட்டவர்களுக்கு புதிய நிதி நிவாரணம்: மத்திய வங்கியினால் அறிமுகம்

60 வயதுக்கு மேற்பட்டவர்களுக்கு புதிய நிதி நிவாரணம்: மத்திய வங்கியினால் அறிமுகம்

யாழ். நல்லூர் கந்தசுவாமி ஆலயத்தில் சிறப்பாக இடம்பெற்ற மானம்பூ உற்சவம் (Photos)

யாழ். நல்லூர் கந்தசுவாமி ஆலயத்தில் சிறப்பாக இடம்பெற்ற மானம்பூ உற்சவம் (Photos)

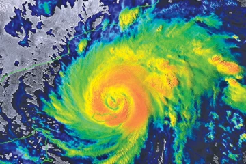
வங்காள விரிகுடாவில் தாழமுக்கம்! சூறாவளி குறித்து விடுக்கப்பட்டுள்ள எச்சரிக்கை

வங்காள விரிகுடாவில் தாழமுக்கம்! சூறாவளி குறித்து விடுக்கப்பட்டுள்ள எச்சரிக்கை

இலங்கையிலிருந்து குரங்குகளை ஏற்றுமதி செய்வதில் ஏற்பட்டுள்ள சிக்கல்

இலங்கையிலிருந்து குரங்குகளை ஏற்றுமதி செய்வதில் ஏற்பட்டுள்ள சிக்கல்

21 கோவில்களில் துணிகர கொள்ளை: பொலிஸாரின் அதிரடி நடவடிக்கை

21 கோவில்களில் துணிகர கொள்ளை: பொலிஸாரின் அதிரடி நடவடிக்கை

பல பிரதேசங்களுக்கு விடுக்கப்பட்டுள்ள மண்சரிவு எச்சரிக்கை

பல பிரதேசங்களுக்கு விடுக்கப்பட்டுள்ள மண்சரிவு எச்சரிக்கை

முருதவெல நீர்த்தேக்கம் பெருக்கெடுக்கும் அபாயம்: மக்களுக்கு விடுக்கப்பட்டுள்ள எச்சரிக்கை

முருதவெல நீர்த்தேக்கம் பெருக்கெடுக்கும் அபாயம்: மக்களுக்கு விடுக்கப்பட்டுள்ள எச்சரிக்கை

நெல் கையிருப்பில் 10 கோடி ரூபா இழப்பு: உடனடி அறிக்கை சமர்ப்பிக்குமாறு உத்தரவு

நெல் கையிருப்பில் 10 கோடி ரூபா இழப்பு: உடனடி அறிக்கை சமர்ப்பிக்குமாறு உத்தரவு

கடற்படையினரின் விசேட சுற்றிவளைப்பில் 4000 மில்லியன் பெறுமதியான போதைப்பொருட்கள் மீட்பு

கடற்படையினரின் விசேட சுற்றிவளைப்பில் 4000 மில்லியன் பெறுமதியான போதைப்பொருட்கள் மீட்பு

வவுனியா பிரதேச செயலகத்தினை முற்றுகையிட்டு பொதுமக்கள் ஆர்பாட்டம்

வவுனியா பிரதேச செயலகத்தினை முற்றுகையிட்டு பொதுமக்கள் ஆர்பாட்டம்

நாடுகடந்த தமிழீழ அரசாங்கத்தின் கருத்தரங்கிற்கு தடை விதித்த தமிழக அரசு

நாடுகடந்த தமிழீழ அரசாங்கத்தின் கருத்தரங்கிற்கு தடை விதித்த தமிழக அரசு

மறக்க முடியாத அனுபவம்: யாழ். இசை நிகழ்ச்சியில் பங்கேற்ற இந்திய பிரபலங்கள் வெளியிட்ட கருத்து

மறக்க முடியாத அனுபவம்: யாழ். இசை நிகழ்ச்சியில் பங்கேற்ற இந்திய பிரபலங்கள் வெளியிட்ட கருத்து

முல்லைத்தீவு - முள்ளியவளையில் காணாமல்போயுள்ள இளம் குடும்பம்!

முல்லைத்தீவு - முள்ளியவளையில் காணாமல்போயுள்ள இளம் குடும்பம்!

03 மாதங்களுக்கு ஒரு முறை மின்கட்டணத்தை திருத்த நடவடிக்கை: காஞ்சன விஜேசேகர

03 மாதங்களுக்கு ஒரு முறை மின்கட்டணத்தை திருத்த நடவடிக்கை: காஞ்சன விஜேசேகர

முல்லைத்தீவு - ஒட்டன் குளம் சிவன் ஆலயத்திற்கு சாள்ஸ் நிர்மலநாதன் கள விஜயம்(Photos)

முல்லைத்தீவு - ஒட்டன் குளம் சிவன் ஆலயத்திற்கு சாள்ஸ் நிர்மலநாதன் கள விஜயம்(Photos)

நாட்டில் கண்டுபிடிக்கப்பட்ட மிக சிறிய வகை நுளம்பு இனம்

நாட்டில் கண்டுபிடிக்கப்பட்ட மிக சிறிய வகை நுளம்பு இனம்

கிளிநொச்சி மாவட்டத்தில் குடும்ப வன்முறை அதிகரிப்பு

கிளிநொச்சி மாவட்டத்தில் குடும்ப வன்முறை அதிகரிப்பு

கிணற்றில் வீழ்ந்த மகளை காப்பாற்ற முயன்ற தாய் : இருவரும் நீரில் மூழ்கி உயிரிழப்பு- செய்திகளின் தொகுப்பு

கிணற்றில் வீழ்ந்த மகளை காப்பாற்ற முயன்ற தாய் : இருவரும் நீரில் மூழ்கி உயிரிழப்பு- செய்திகளின் தொகுப்பு

திருகோணமலையில் இரண்டு பிள்ளைகளின் தந்தை சடலமாக மீட்பு

திருகோணமலையில் இரண்டு பிள்ளைகளின் தந்தை சடலமாக மீட்பு

யாழில் மீண்டும் இடைநிறுத்தப்பட்ட குமுதினி படகு சேவை

யாழில் மீண்டும் இடைநிறுத்தப்பட்ட குமுதினி படகு சேவை

சர்வதேச அரங்கில் கவனத்தை ஈர்த்துள்ள செந்தில் தொண்டமானின் உரை

சர்வதேச அரங்கில் கவனத்தை ஈர்த்துள்ள செந்தில் தொண்டமானின் உரை

வெளிநாட்டிலிருந்து இலங்கைக்கு பயணித்த பெண் ஒருவர் விமானத்தில் மரணம்

வெளிநாட்டிலிருந்து இலங்கைக்கு பயணித்த பெண் ஒருவர் விமானத்தில் மரணம்

மரண அறிவித்தல்

புத்தூர் மேற்கு, Toronto, Canada

09 Apr, 2026
மரண அறிவித்தல்

கொக்குவில் மேற்கு, Ontario, Canada

08 Apr, 2026
5ம் ஆண்டு நினைவஞ்சலி
மரண அறிவித்தல்

புங்குடுதீவு, கொழும்பு, Brompton, Canada

04 Apr, 2026
1ம் ஆண்டு நினைவஞ்சலி
31ம் நாள் நினைவஞ்சலியும், நன்றி நவிலலும்

நயினாதீவு 7ம் வட்டாரம், கொக்குவில்

14 Mar, 2026
மரண அறிவித்தல்

புங்குடுதீவு 12ம் வட்டாரம், முரசுமோட்டை, Brampton, Canada

08 Apr, 2026
10ம் ஆண்டு நினைவஞ்சலி

கொக்குவில் கிழக்கு, ப்றீமென், Germany

10 Apr, 2016
6ம் ஆண்டு நினைவஞ்சலி

சிறுப்பிட்டி, Montreal, Canada

09 Apr, 2020
31ம் நாள் நினைவஞ்சலி

Kuala Lumpur, Malaysia, நாரந்தனை, Grevenbroich, Germany

10 Mar, 2026
மரண அறிவித்தல்

மண்கும்பான், யாழ்ப்பாணம், London, United Kingdom

05 Apr, 2026
3ம் ஆண்டு நினைவஞ்சலி

கொட்டடி, யாழ்ப்பாணம், Scarborough, Canada

10 Apr, 2023
மரண அறிவித்தல்

நயினாதீவு 8ம் வட்டாரம், கொட்டடி, கனடா, Canada

29 Mar, 2026
5ம் ஆண்டு நினைவஞ்சலி

மானிப்பாய், நவாலி, Bottrop, Germany, London, United Kingdom

04 Apr, 2021
10ம் ஆண்டு நினைவஞ்சலி
10ம் ஆண்டு நினைவஞ்சலி

தொல்புரம், Luton, United Kingdom

09 Apr, 2016
மரண அறிவித்தல்

கரவெட்டி, கொழும்பு, London, United Kingdom

06 Apr, 2026
மரண அறிவித்தல்

நாயன்மார்கட்டு

06 Apr, 2026
1ம் ஆண்டு நினைவஞ்சலி

மந்துவில் கிழக்கு, மீசாலை வடக்கு, தாவளை

21 Mar, 2025
மரண அறிவித்தல்

யாழ். கரவெட்டி, Renens, Switzerland

07 Apr, 2026
4ம் ஆண்டு நினைவஞ்சலி

மலேசியா, Malaysia, யாழ்ப்பாணம்

08 Apr, 2022
மரண அறிவித்தல்

பண்ணாகம், ஏழாலை, Newcastle, Canada

04 Apr, 2026
1ம் ஆண்டு நினைவஞ்சலி

அனலைதீவு, வட்டக்கச்சி இராமநாதபுரம், Brampton, Canada

08 Apr, 2025
4ம் ஆண்டு நினைவஞ்சலி

மல்லாகம், அச்சுவேலி

24 Mar, 2022
மரண அறிவித்தல்
13ம் ஆண்டு நினைவஞ்சலி
1ம் ஆண்டு நினைவஞ்சலி

நாரந்தனை, கொழும்பு, வவுனியா

07 Apr, 2025
7ம் ஆண்டு நினைவஞ்சலி

மட்டக்களப்பு, மன்னார், கனடா, Canada

08 Apr, 2019
(+44) 20 3137 6284
UK
(+41) 315 282 633
Switzerland
(+1) 437 887 2534
Canada
(+33) 182 888 604
France
(+49) 231 2240 1053
Germany
(+1) 929 588 7806
US
(+61) 272 018 726
Australia
lankasri@lankasri.com
Email US