இலங்கை வானிலை ஆய்வாளர்கள் சங்கம் வெளியிட்டுள்ள தகவல்
அண்மையில் ஏற்பட்ட டிட்வா சூறாவளியின்போது, இலங்கை வளிமண்டலவியல் திணைக்களம் சரியான விதிமுறைகளைப் பின்பற்றி, உரிய நேரத்திலேயே எச்சரிக்கைகளை வெளியிட்டதாக இலங்கை வானிலை ஆய்வாளர்கள் சங்கம் கூறியுள்ளது.
இதனால், மீனவர்கள் மற்றும் கடற்படையினர் விரைவில் பாதுகாப்பான இடத்துக்குச் சென்று, உயிர் சேதங்களைத் தடுக்க முடிந்தது என்றும் சங்கம் தெரிவித்துள்ளது.
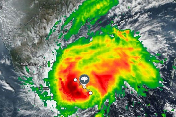
சூறாவளி பற்றி நாட்டு மக்களுக்கு வளிமண்டலவியல் திணைக்களம் சரியாக எச்சரிக்கை கொடுக்கவில்லை என்று பொதுமக்கள் மத்தியில் எழுந்த விமர்சனங்களுக்குப் பதிலளிக்கும் விதமாக இந்த அறிக்கை வெளியிடப்பட்டுள்ளது. டிட்வா சூறாவளி அதிவேகமாக உருவானது.
வேகமான மாற்றங்கள்
வெறும் 12 மணி நேரத்திற்குள் குறைந்த காற்றழுத்தப் பகுதி சூறாவளியாக மாறியது. உலக வெப்பமயமாதல் மற்றும் வளிமண்டலத்தில் ஏற்படும் வேகமான மாற்றங்களால் இவ்வாறு நடக்கிறது என்று சங்கம் சுட்டிக்காட்டியுள்ளது.

அத்துடன், மிகவும் மோசமான மற்றும் கணிக்க முடியாத காலநிலையின்போது, இன்னும் துல்லியமான எச்சரிக்கைகளை வழங்க, தற்போதுள்ள எச்சரிக்கை அமைப்பை மேம்படுத்த வேண்டியது அவசியம் என்று அந்த சங்கம் வலியுறுத்தியுள்ளது.
தற்போதைய அமைப்பில் உள்ள குறைகள் குறித்து ஆய்வு செய்யப்படுவதாகவும் கூறியுள்ளது. சூறாவளியின் ஆரம்ப அறிகுறிகளை வானிலை ஆய்வாளர்கள் நவம்பர் 23 ஆம் திகதி கண்டறிந்தனர். இந்தத் தகவல் உடனடியாக மீனவர்கள், கடற்படையினர் மற்றும் பொதுமக்களுக்கு நவம்பர் 25 ஆம் திகதியில் குறைந்த காற்றழுத்தப் பகுதி உருவாக வாய்ப்புள்ளதாக பகிரப்பட்டது.
நவம்பர் 24 புதிய தரவுகளின் அடிப்படையில், சூறாவளி இன்னும் தூரத்தில் இருந்தபோதே, 'செம்மஞ்சள் எச்சரிக்கை' உட்படக் கடல்சார் எச்சரிக்கைகள் வழங்கப்பட்டன.

பொதுமக்களுக்கும் நிலைமை தெரிவிக்கப்பட்டது. இந்திய வானிலை ஆய்வுத் திணைக்களம் நவம்பர் 13 ஆம் திகதி அன்றே சூறாவளியை கணித்துவிட்டதாகக் கூறப்படும் செய்தி பொய்யானது என்று அந்த சங்கம் திட்டவட்டமாக மறுத்துள்ளது.
எந்த வானிலை ஆய்வு முறைமையினாலும் பல வாரங்களுக்கு முன்பே சூறாவளியை துல்லியமாக கணிக்க முடியாது என்றும் அந்த சங்கம் கூறியுள்ளது. இந்திய வானிலை ஆய்வு திணைக்களமும் நவம்பர் 23ஆம் திகதி பிற்பகல் 2.30க்கு வெளியிட்ட அறிக்கையிலேயே புயல் உருவாவதை முதன்முதலில் உறுதி செய்தது என்றும் இலங்கை வானிலை ஆய்வாளர்கள் சங்கம் தெரிவித்துள்ளது.
சோமாலிலாந்தை இஸ்ரேல் அங்கீகரித்தது ஏன்? 5 நாட்கள் முன்
அமெரிக்காவால் வெனிசுலாவுக்கு ஏற்பட்டுள்ள நெருக்கடி: கச்சா எண்ணெய் ஏற்றுமதி 75% வீழ்ச்சி News Lankasri
பிக் பாஸ் டைட்டில் ஜெயித்த திவ்யாவுக்கு ரூ.50 லட்சம் மட்டுமின்றி மேலும் ஒரு பெரிய பரிசு! என்ன பாருங்க Cineulagam
இரவில் உக்ரைன் மீது படையெடுத்த 200க்கும் மேற்பட்ட ரஷ்ய ட்ரோன்கள்: சுட்டு வீழ்த்த போராடிய வீரர்கள் News Lankasri